Große Garage zu verkaufen
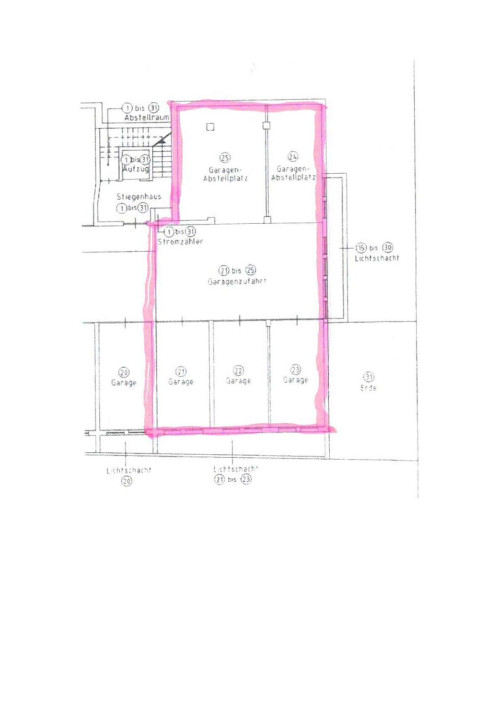
In einem Gebäude, welches 2008 fertiggestellt wurde, verkaufen wir im Untergeschoss eine große Garage, welche Platz für 6-7 Autos bietet.
Die Garage ist mit einem elektrischen Sektionaltor und einer Einzeltüre versehen.
Die Liegenschaft befinden sich in Vilpian, einer Fraktion der Gemeinde Terlan.
Lichte Mindesthöhe: 2,57m.

